LAND for SALE土地を買う
6期 加古川町稲屋 39区画
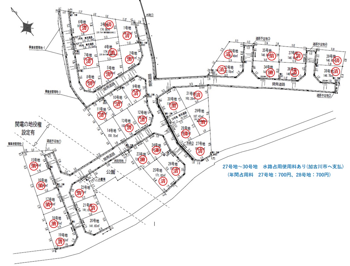
販売価格942.00~957.00万円(税込)
- 住所
- 加古川市加古川町稲屋
- 土地面積
- 141.65㎡~150.75㎡(42.86坪~45.61坪)
周辺環境
- 交通機関
- かこバス友沢南停 徒歩8分
- 教育施設
- 鳩里小学校 徒歩9分
加古川中学校 徒歩19分
DETAIL
土地詳細
| 所在地 | 加古川市加古川町稲屋 | 土地面積 | 141.65㎡~150.75㎡(42.86坪~45.61坪) |
|---|---|---|---|
| 都市計画/用途地域 | 第1種中高層住居専用地域 | 地目/地勢 | 宅地渡し |
| 区画数 | 全39区画 |
|---|---|
| 建ぺい率/容積率 | 60% / 200% |
| 交通/地域地区 | - |
| 沿線交通 | - |
| 設備 | 電気、都市ガス、公営水道、公共下水 |
| 学区 | 鳩里小学校・加古川中学校 |
| 取引態様 | 仲介 |
| 備考 | - |







