LAND for SALE土地を買う
16期 御立中7丁目 17区画
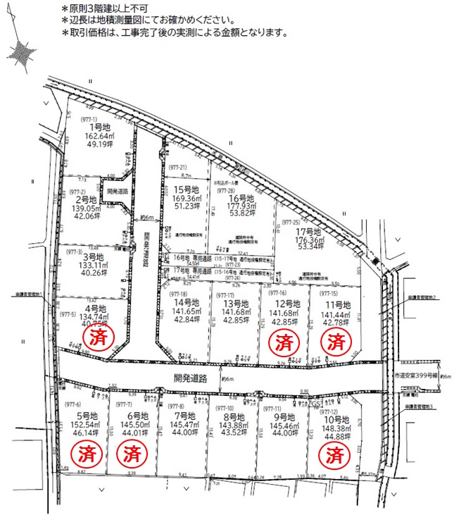
販売価格1,088.00~1,434.40万円(税込)
- 住所
- 姫路市御立中7丁目
- 土地面積
- 139.05㎡~177.93㎡(42.07坪~53.84坪)
周辺環境
- 交通機関
- 神姫バス 北山口停より 徒歩7分
- 教育施設
- 安室東小学校・安室中学校
- 病院
- 厚生病院
- 公共施設
- 姫路書写郵便局
- ショッピング
- マックスバリュ 書写店
DETAIL
土地詳細
| 所在地 | 姫路市御立中7丁目 | 土地面積 | 139.05㎡~177.93㎡(42.07坪~53.84坪) |
|---|---|---|---|
| 都市計画/用途地域 | 第1種低層住居専用地域 | 地目/地勢 | - |
| 建ぺい率/容積率 | 50% / 100% |
|---|---|
| 交通/地域地区 | - |
| 沿線交通 | - |
| 設備 | 電気、都市ガス、公営水道、公共下水 |
| 学区 | 安室東小学校・安室中学校 |
| 取引態様 | 媒介 |
| 備考 | - |












