物件の買取はコチラ

LAND for SALE土地を買う

エリアを選択する

検索条件の設定・変更

選択中のエリア / 学校区

土地の条件

価格

土地面積

キーワードから探す

最終更新日:2025年11月14日 08:52

エリア:
すべて
学校区:
すべて

福崎町

4期 福崎町西田原 9区画

アイコン神崎郡福崎町西田原

アイコン 町立田原小学校・町立福崎東中学校

アイコンJR播但線 福崎駅 徒歩25分

高砂市

5期 北浜町北脇 6区画

アイコン高砂市北浜町北脇

アイコン 北浜小学校・鹿島中学校

アイコン山陽電鉄 大塩駅 バス5分乗車
コミュニティバス 北浜こども園停 徒歩2分

高砂市

4期 北浜町北脇 11区画

アイコン高砂市北浜町北脇

アイコン 北浜小学校・鹿島中学校

アイコン山陽電鉄 大塩駅 徒歩10分

姫路中心部

13期 御立中2丁目 9区画

アイコン姫路市御立中2丁目

アイコン 安室小学校・安室中学校

アイコン神姫バス 御立中三丁目停 徒歩5分

姫路中心部

12期 御立中1丁目 4区画

アイコン姫路市御立中1丁目

アイコン 安室小学校・安室中学校

アイコン姫路駅 バス20分
神姫バス 御立中一丁目停 徒歩4分

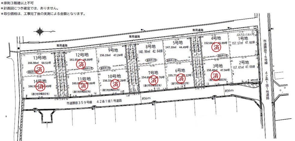
姫路西部

5期 勝原区宮田 14区画

アイコン姫路市勝原区宮田

アイコン 勝原小学校・朝日中学校

アイコンJR網干駅 徒歩20分

87